w rejonie Famagusta (Deryneia) na sprzedaż

Cena: 93000 € ( 398040 zł ) Wyświetleń oferty nieruchomości: 1883


Powierzchnia: m2


Liczba sypialni:


Liczba łazienek: 0

Oferta nieruchomości

Działka:

Na sprzedaż

Powierzchnia działki:

m2

Powierzchnia nieruchomości:

m2

Pomieszczenia:

dywany

dzwonek do drzwi

podwójne schody

balkon

umeblowanie

otwarta kuchnia

osobna kuchnia

dostęp do wody

basen

brak

grill

garaż

parking kryty

odkryty parking

dostęp do drogi

telewizja satelitarna

dostęp do prądu

dostęp do internetu

linia telefoniczna

klimatyzacja

ilość poziomów

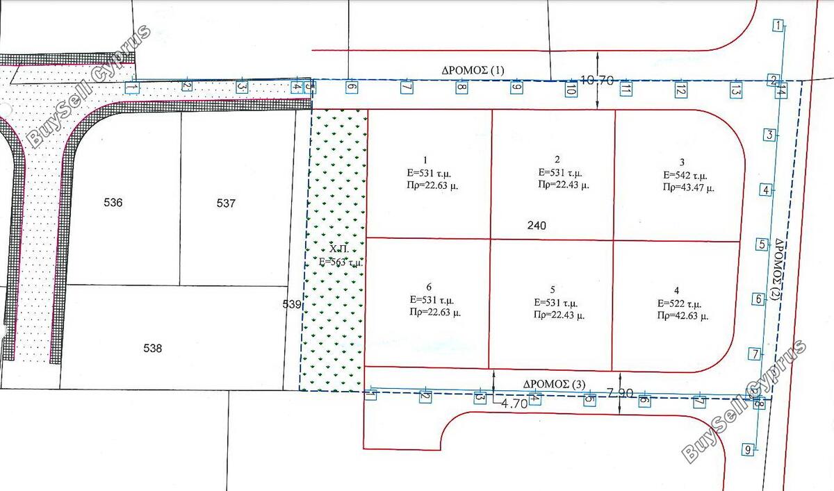
Działka w Famagusta Deryneia na sprzedaż Cypr

Obecnie w pobliżu szkół publicznych dostępny jest wybór działek narożnych i bocznych. Działki charakteryzują się równymi powierzchniami gotowymi do przyjęcia zabudowy mieszkaniowej, a ich kształty są prostokątne z bezpośrednim dostępem do oficjalnej drogi publicznej. Jest to znakomita okazja inwestycyjna, biorąc pod uwagę, że deweloper działek oferuje również nabywcom koncepcyjne plany architektoniczne 3 lub 4 sypialniowej willi z prywatnym basenem na działkach.
Identyfikator aukcji: 940709
Działka: 532 mkw
Strefa Mieszkalna
Współczynnik budowy: 90%
Współczynnik pokrycia: 50%
Blisko udogodnień
Strefa budynku: Κα6
Wysokość budynku: 8,3 metra
Kondygnacje budynku: Parter

Lokalizacja

Podobne

Apartament w rejonie  (Deryneia) na sprzedaż

Apartament w rejonie (Deryneia) na sprzedaż

Oferta sprzedaży
Rejon Cypru: Protaras
Miejscowość: Deryneia
Metraż nieruchomości 85 m2, Metraż działki 0 m2,
Ilość sypialni : 2,Wiadomość : 0
Cena : 80500 euro ( 342930 złotych )
Dom w rejonie Famagusta (Deryneia) na sprzedaż

Dom w rejonie Famagusta (Deryneia) na sprzedaż

Oferta sprzedaży
Rejon Cypru: Famagusta
Miejscowość: Deryneia
Metraż nieruchomości m2, Metraż działki m2,
Ilość sypialni : 3,Wiadomość : 2
Cena : 220000 euro ( 937200 złotych )
Willa w rejonie  (Deryneia) na sprzedaż

Willa w rejonie (Deryneia) na sprzedaż

Oferta sprzedaży
Rejon Cypru: Protaras
Miejscowość: Deryneia
Metraż nieruchomości 140 m2, Metraż działki 230 m2,
Ilość sypialni : 3,Wiadomość : 3
Cena : 230000 euro ( 979800 złotych )
 w rejonie Famagusta (Deryneia) na sprzedaż

w rejonie Famagusta (Deryneia) na sprzedaż

Oferta sprzedaży
Rejon Cypru: Famagusta
Miejscowość: Deryneia
Metraż nieruchomości m2, Metraż działki m2,
Ilość sypialni : 2,Wiadomość : 2
Cena : 225000 euro ( 958500 złotych )
Apartament w rejonie Famagusta (Deryneia) na sprzedaż

Apartament w rejonie Famagusta (Deryneia) na sprzedaż

Oferta sprzedaży
Rejon Cypru: Famagusta
Miejscowość: Deryneia
Metraż nieruchomości m2, Metraż działki m2,
Ilość sypialni : 2,Wiadomość : 2
Cena : 180000 euro ( 766800 złotych )
Apartament w rejonie Famagusta (Deryneia) na sprzedaż

Apartament w rejonie Famagusta (Deryneia) na sprzedaż

Oferta sprzedaży
Rejon Cypru: Famagusta
Miejscowość: Deryneia
Metraż nieruchomości m2, Metraż działki m2,
Ilość sypialni : 2,Wiadomość : 1
Cena : 135000 euro ( 575100 złotych )
Apartament w rejonie  (Deryneia) na sprzedaż

Apartament w rejonie (Deryneia) na sprzedaż

Oferta sprzedaży
Rejon Cypru: Protaras
Miejscowość: Deryneia
Metraż nieruchomości 61 m2, Metraż działki 0 m2,
Ilość sypialni : 1,Wiadomość : 0
Cena : 63300 euro ( 269658 złotych )
Apartament w rejonie Famagusta (Deryneia) na sprzedaż

Apartament w rejonie Famagusta (Deryneia) na sprzedaż

Oferta sprzedaży
Rejon Cypru: Famagusta
Miejscowość: Deryneia
Metraż nieruchomości m2, Metraż działki m2,
Ilość sypialni : 2,Wiadomość : 1
Cena : 140000 euro ( 596400 złotych )
 w rejonie Famagusta (Deryneia) na sprzedaż

w rejonie Famagusta (Deryneia) na sprzedaż

Oferta sprzedaży
Rejon Cypru: Famagusta
Miejscowość: Deryneia
Metraż nieruchomości m2, Metraż działki m2,
Ilość sypialni : ,Wiadomość :
Cena : 82000 euro ( 349320 złotych )

Kontakt

=

Wyszukiwarka

Region

Lokalizacja

Rodzaj nieruchmości

Cena minimalna

Maksymalna cena

Nieruchomości

Apartament Ayia Napa
Apartament Protaras
Apartament Famagusta
Apartament Larnaka
Apartament Paphos
Apartament Limassol
Apartament Nikozja

Dom Ayia Napa
Dom Protaras
Dom Famagusta
Dom Larnaka
Dom Paphos
Dom Limassol
Dom Nikozja

Willa Ayia Napa
Willa Protaras
Willa Famagusta
Willa Larnaka
Willa Paphos
Willa Limassol
Willa Nikozja

Poznaj Cypr z nami!


Wirtualne zwiedzanie Cypru 360


Nasze filmy z Cypru