Ziemia w rejonie Famagusta (Sotira Ammochostou) na sprzedaż

Cena: 100000 € ( 428000 zł ) Wyświetleń oferty nieruchomości: 1177


Powierzchnia: m2


Liczba sypialni:


Liczba łazienek: 0

Oferta nieruchomości

Działka:

Na sprzedaż

Powierzchnia działki:

m2

Powierzchnia nieruchomości:

m2

Pomieszczenia:

dywany

dzwonek do drzwi

podwójne schody

balkon

umeblowanie

otwarta kuchnia

osobna kuchnia

dostęp do wody

basen

brak

grill

garaż

parking kryty

odkryty parking

dostęp do drogi

telewizja satelitarna

dostęp do prądu

dostęp do internetu

linia telefoniczna

klimatyzacja

ilość poziomów

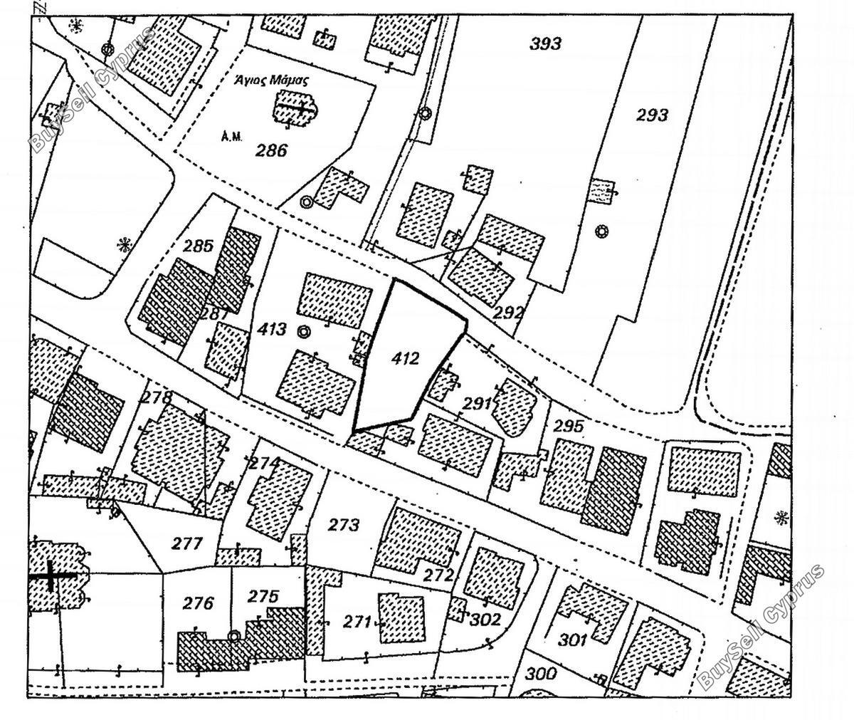
Działka w Famagusta Sotira Ammochostou na sprzedaż Cypr

Na sprzedaż ten kawałek ziemi, który znajduje się w cichej dzielnicy mieszkalnej, w samym centrum miasta Sotira, w odległości spaceru od wszystkich udogodnień. Nadaje się do natychmiastowego rozwoju. Grunt jest połączony z utwardzoną drogą drugorzędną z gruntu i jest do niego podłączony prąd, woda, internet, telefon, kanalizacja itp. Prawdziwa, doskonała okazja dla kogoś, kto chce wybudować własny dom lub kupić pod przyszłą inwestycję.
Grunt podlega dwóm różnym współczynnikom budowlanym:

57% powierzchni działki należy do strefy planistycznej Πα9 o następujących współczynnikach zabudowy:
Gęstość budynków: 120%
Gęstość okładki: 70%
Kondygnacje: 2
Wysokość: 8,3 metra

43% powierzchni działki należy do strefy planistycznej Εβ6-ΙΙΙ o następujących współczynnikach zabudowy:
Gęstość budynków: 100%
Gęstość okładki: 50%
Kondygnacje: 3
Wysokość: 13,5 metra

Działka: 571 mkw
Strefa Mieszkalna
Blisko udogodnień

Lokalizacja

Podobne

Ziemia w rejonie Famagusta (844997) na sprzedaż

Ziemia w rejonie Famagusta (844997) na sprzedaż

Oferta sprzedaży
Rejon Cypru: Famagusta
Miejscowość: 844997
Metraż nieruchomości m2, Metraż działki m2,
Ilość sypialni : ,Wiadomość :
Cena : 16000 euro ( 68160 złotych )
Ziemia w rejonie Famagusta (845077) na sprzedaż

Ziemia w rejonie Famagusta (845077) na sprzedaż

Oferta sprzedaży
Rejon Cypru: Famagusta
Miejscowość: 845077
Metraż nieruchomości m2, Metraż działki m2,
Ilość sypialni : ,Wiadomość :
Cena : 294000 euro ( 1252440 złotych )
Ziemia w rejonie Famagusta (839995) na sprzedaż

Ziemia w rejonie Famagusta (839995) na sprzedaż

Oferta sprzedaży
Rejon Cypru: Famagusta
Miejscowość: 839995
Metraż nieruchomości m2, Metraż działki m2,
Ilość sypialni : ,Wiadomość :
Cena : 220000 euro ( 937200 złotych )
Ziemia w rejonie Famagusta (840001) na sprzedaż

Ziemia w rejonie Famagusta (840001) na sprzedaż

Oferta sprzedaży
Rejon Cypru: Famagusta
Miejscowość: 840001
Metraż nieruchomości m2, Metraż działki m2,
Ilość sypialni : ,Wiadomość :
Cena : 650000 euro ( 2769000 złotych )
Ziemia w rejonie Famagusta (890749) na sprzedaż

Ziemia w rejonie Famagusta (890749) na sprzedaż

Oferta sprzedaży
Rejon Cypru: Famagusta
Miejscowość: 890749
Metraż nieruchomości m2, Metraż działki m2,
Ilość sypialni : ,Wiadomość :
Cena : 47000 euro ( 200220 złotych )
Ziemia w rejonie Famagusta (845078) na sprzedaż

Ziemia w rejonie Famagusta (845078) na sprzedaż

Oferta sprzedaży
Rejon Cypru: Famagusta
Miejscowość: 845078
Metraż nieruchomości m2, Metraż działki m2,
Ilość sypialni : ,Wiadomość :
Cena : 431000 euro ( 1836060 złotych )
Ziemia w rejonie Famagusta (890752) na sprzedaż

Ziemia w rejonie Famagusta (890752) na sprzedaż

Oferta sprzedaży
Rejon Cypru: Famagusta
Miejscowość: 890752
Metraż nieruchomości m2, Metraż działki m2,
Ilość sypialni : ,Wiadomość :
Cena : 105000 euro ( 447300 złotych )
Ziemia w rejonie Famagusta (836019) na sprzedaż

Ziemia w rejonie Famagusta (836019) na sprzedaż

Oferta sprzedaży
Rejon Cypru: Famagusta
Miejscowość: 836019
Metraż nieruchomości m2, Metraż działki m2,
Ilość sypialni : ,Wiadomość :
Cena : 51000 euro ( 217260 złotych )
Ziemia w rejonie Famagusta (892860) na sprzedaż

Ziemia w rejonie Famagusta (892860) na sprzedaż

Oferta sprzedaży
Rejon Cypru: Famagusta
Miejscowość: 892860
Metraż nieruchomości m2, Metraż działki m2,
Ilość sypialni : ,Wiadomość :
Cena : 36000 euro ( 153360 złotych )

Kontakt

=

Wyszukiwarka

Region

Lokalizacja

Rodzaj nieruchmości

Cena minimalna

Maksymalna cena

Nieruchomości

Apartament Ayia Napa
Apartament Protaras
Apartament Famagusta
Apartament Larnaka
Apartament Paphos
Apartament Limassol
Apartament Nikozja

Dom Ayia Napa
Dom Protaras
Dom Famagusta
Dom Larnaka
Dom Paphos
Dom Limassol
Dom Nikozja

Willa Ayia Napa
Willa Protaras
Willa Famagusta
Willa Larnaka
Willa Paphos
Willa Limassol
Willa Nikozja

Poznaj Cypr z nami!


Wirtualne zwiedzanie Cypru 360


Nasze filmy z Cypru